Safra 23/24 tem a pior média de ataque do bicudo do algodoeiro em MT, especialista alerta
Pesquisadores da Fundação Mato Grosso apresentam alternativas para o combate de pragas, como: bicudo, lagartas e ácaro-rajado
Crop Agrocomunicação | Assessoria Fundação MT
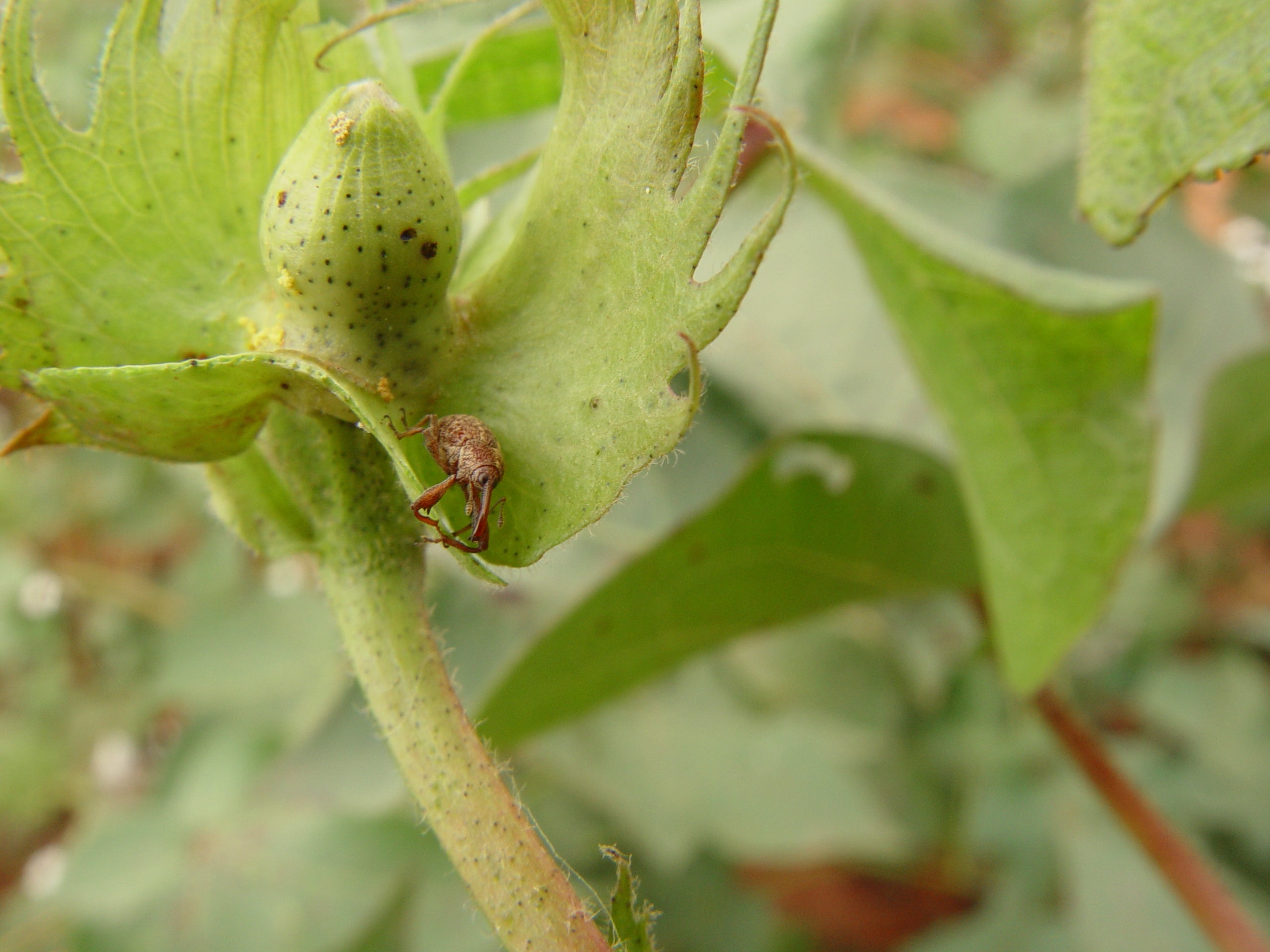
Além da severidade nas condições climáticas, a atual safra de algodão se mostra desafiadora quanto ao avanço de pragas nas lavouras. Não bastasse o aumento da população do conhecido e temido bicudo, os pesquisadores ainda apontam ataques danosos provocados por lagartas (Spodoptera frugiperda) e ácaro-rajado (Tetranychus urticae). No monitoramento que verifica a flutuação populacional do bicudo algodoeiro entre uma safra e outra, a temporada 23/24 apresentou a pior média em Mato Grosso registrada desde o período de 2012/13. Em 12 anos de monitoramento, a safra recente apresenta o valor de 8.97 bicudos por armadilha, a cada semana de coleta. O índice conhecido como BAS (bicudo por armadilha por semana) serve de norteador para a execução de um manejo eficiente da praga, sendo que nesta atual safra a quantidade de inseto foi quase quatro vezes maior do que o visto na safra 22/23, quando a infestação da praga chegou a média de 2.15 BAS no estado.
Essa situação, considerada grave, foi apresentada aos participantes do painel “Panorama das Pragas na safra 23/24”, durante evento técnico realizado pela Fundação Mato Grosso. O doutor em Entomologia Agrícola e pesquisador do Instituto Mato-Grossense do Algodão, Guilherme Rolim, demonstrou a dinâmica do inseto nos algodoeiros de Mato Grosso. “Nós tivemos um problema sério com a questão da destruição de plantas no fim do ciclo do algodão e isso contribuiu para multiplicação da praga. A destruição foi prejudicada, principalmente por conta de questões climáticas, que favoreceram a permanência de plantas de algodão que emergiram em meio a lavoura de soja. São essas plantas que contribuem para a permanência do inseto na área”.
O especialista reconhece que em cada safra existe um cenário diferente para pragas, especialmente o bicudo, mas alerta para a necessidade de medidas urgentes e preventivas para garantir a sustentabilidade da produção.
“Uma boa destruição dos restos culturais agora, ou seja, matar esse algodão realmente e ficar atento com o programa de monitoramento. Colocar as armadilhas, que são as armadilhas com feromônios, que atraem os insetos, e com isso consegue monitorar e verificar os locais de maior pressão da praga. Essa é uma forma do produtor iniciar as aplicações até um pouco mais cedo, para conter essa população durante a safra”, comenta Guilherme.
O algodão é uma das principais commodities produzidas no Brasil, assim os produtores de Mato Grosso e Bahia, que são os estados com maior produção de pluma, são os que trazem os relatos de maiores desafios com relação a pragas na safra 23/24. O fenômeno climático El Ninõ, que provocou o registro de temperaturas mais altas e tempo mais seco em várias áreas, colaborou para acelerar o ciclo de vida das pragas. Por não ter a biotecnologia para controle sobre a população e a difícil identificação dos primeiros focos, o ácaro-rajado se tornou um problema nesta safra, segundo a pesquisadora em entomologia da Fundação Mato Grosso, doutora Lúcia Vivan. A especialista divulgou ainda o comportamento da lagarta Spodoptera frugiperda no algodoeiro.
“Tivemos um agravante que foi o período mais seco, então desde a cultura da soja estava essa infestação de ácaro presente, isso acabou oferecendo uma população maior na cultura do algodão também. Já a lagarta militar (Spodoptera frugiperda), está presente em todas as culturas, desenvolve bem, se tivermos uma área de braquiária, ou outra cobertura vegetal na entressafra, como também na cultura da soja, sobrevive e acaba estando presente a todo momento. Para se prevenir, o produtor tem que monitorar, usar algumas ferramentas, a Fundação Mato Grosso trabalha com treinamentos e indicações que podem auxiliar as equipes de campo nas propriedades,” reforça a pesquisadora Lúcia Vivan.
Participante dos eventos da Fundação Mato Grosso há muitos anos, o gerente técnico regional do grupo Bom Futuro, Cid Reis, que é responsável por uma área de 58 mil hectares de algodão, disse que teve certa dificuldade no trato dos algodoeiros nesta safra e isso tem aumentado no número de aplicações para combate.
“Em Campo Verde, nesta safra 23/24, fizemos uma projeção de 12 aplicações de defensivos para controlar o bicudo. Ainda não fechamos os números, mas já estamos somando 15 aplicações. Ou seja, 3 aplicações a mais do que prevíamos. Diante desse cenário, estamos buscando alternativas para reduzir o número de aplicações, vamos investir em armadilhas e seguir as recomendações dos técnicos para um manejo mais eficiente”. O gerente acompanhou a programação, conferindo de perto as novidades e tecnologias para o cultivo e comemorou ao perceber que o grupo está no caminho que também é o indicado pelos pesquisadores.
FMT tem tradição em realizar eventos técnicos
Com credibilidade nas pesquisas e imparcialidade nas informações, a Fundação Mato Grosso desenvolve a cada ano mais confiança na realização de eventos técnicos e se destaca com diálogos atualizados nas áreas de soja, algodão e pecuária.
Em maio, foi realizado o Encontro Técnico da Soja, evento que está no calendário da instituição há 24 anos. Além disso, foi finalizado em agosto de 2024 o XVI Encontro Técnico de Algodão, que reuniu técnicos, pesquisadores e profissionais da área para se aperfeiçoar e atualizar sobre o tema. Continuando com o legado, o próximo evento já está marcado para o dia 19 de setembro, será o III Encontro Técnico da Pecuária e vai trazer inovação para a pecuária bovina moderna, além de pesquisas confiáveis.
Para se atualizar sobre os principais assuntos e resultados divulgados nos eventos técnicos, todos os conteúdos estão disponíveis no site da Fundação MT www.fundacaomt.com.br. O aplicativo da FMT, também traz as informações na palma da mão com acesso aos conteúdos de pesquisa sobre: Biológicos, Entomologia, Fitopalogia, Fitotecnia, Matologia, Mecanização Agrícola e Variabilidade Espacial, Nematologia, Solos e Sistemas de Produção. Para baixar no celular é muito fácil, basta acessar http://fundacaomt.com.br/app.



